イエサブブログ
5月9日のイエサブ
おかげさまで連日満員のGWとなりました!
お越しいただきました皆様、ありがとうございました^ ^
可愛いサイズのコブシメはGW中には1ダイブで4〜+5匹いてくれたり、キンギョハナダイのチビちゃん、ミツボシクロスズメダイのチビちゃんもたくさん!




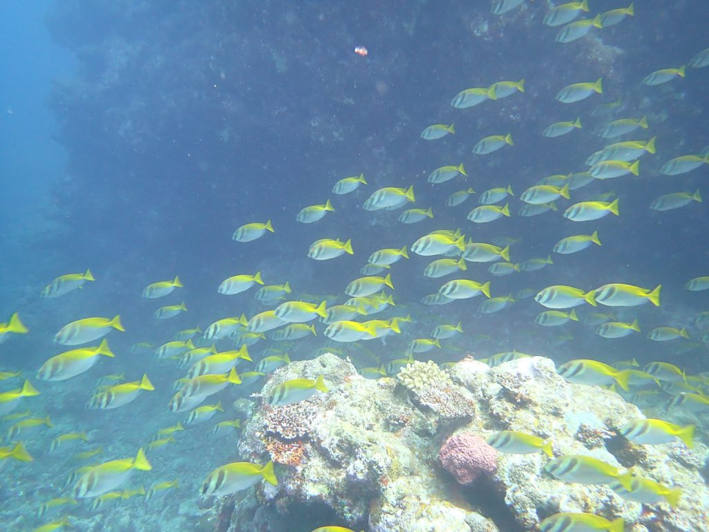
やっぱり伊原間は背景が良くて撮りやすい所がたくさんだなぁ〜
↑のお写真はTさんからいだきました!素敵なお写真をありがとうございました!
キンギョハナダイ、アカネハナゴイの群れもわんさか!

そして季節ですね!
ヒメアイゴの群れもブワッと現れましたよ!

群れの量がすんごくて楽しい楽しい海なのです♪
本日もありがとうございました!
みき
最新記事
-
イエサブブログ5月8日のイエサブ2026.05.08 -
イエサブブログ5月5日のイエサブ2026.05.05 -
イエサブブログ4月27日のイエサブ2026.04.27 -
イエサブブログ4月25日のイエサブ2026.04.25
ブログ一覧
- イエサブブログ (298)
アーカイブ
- 2026年
- 2025年
- 2025年12月 (10)
- 2025年11月 (10)
- 2025年10月 (11)
- 2025年9月 (9)
- 2025年8月 (11)
- 2025年7月 (12)
- 2025年6月 (13)
- 2025年5月 (5)
- 2025年4月 (8)
- 2025年3月 (12)
- 2025年1月 (10)
関連記事
-
イエサブブログスペシャルフォトセミナーウィーク石垣島 開幕〜♪さぁ!始まりました!天才水中写真家 鍵井靖章氏によるスペシャルフォトセミナーウィーク!!! 今日4/17からスタートです^ ^ 先陣を切りますのはダイブパラッパさん!お天気も良い...2024.04.17 -
イエサブブログ5月3日のイエサブ昨日今日と、ばっちり晴れてます^ ^ 石垣のGWはこうでなくっちゃー!!! ファンチームは今日はマクロ三昧! 各種赤ちゃんが見れるのはこの季節の醍醐味ですね♪ クマノ...2023.05.03 -
イエサブブログ1月3日のイエサブお正月三ヶ日もあっという間にすぎますね。 こうやって2025年も光速で過ぎるのでしょうね。 北風が吹き荒れても伊原間の海は潜れるのと、しかも生き物いっぱいなのがほんとにすごいなぁと実感す...2025.01.03 -
イエサブブログ12月20日のイエサブ本日から、水中写真家の上出俊作さんがツアーでイエサブにお越しいただいています^ ^ ご一緒にいらっしゃってる皆さんもカメラや水中の生き物が大好きなのがとっても伝わってきます! わ...2024.12.20 -
イエサブブログ5月20日のイエサブ5月もあっという間に3週間が過ぎますね! 早い早い。 久々に行った伊原間のサンゴポイント! サンゴもりもりでとーっても綺麗でした! で!ノコギリダイの群れがすごい!!! ...2024.05.20 -
イエサブブログ4月23日のイエサブ石垣島北部と言えばサンゴ! すごく綺麗です! ここ数日、ぐっと気温も上がって太陽もギラギラと照りつけております! そうするとやっぱり水中が美しいですね^ ^ ...2025.04.23